Shop To Let - DL5-4SB

By signing up for an account you agree to our Terms of Use and Privacy Policy.

Already have an account? Sign in
Forgotton password? Reset password

Sign in with Google
Sign in with LinkedIn Sign in with Facebook
or


Need an account? Please register
Forgotton password? Reset password

Reset your password

Already have an account? Sign in
Need an account? Please register

Do you like this property?

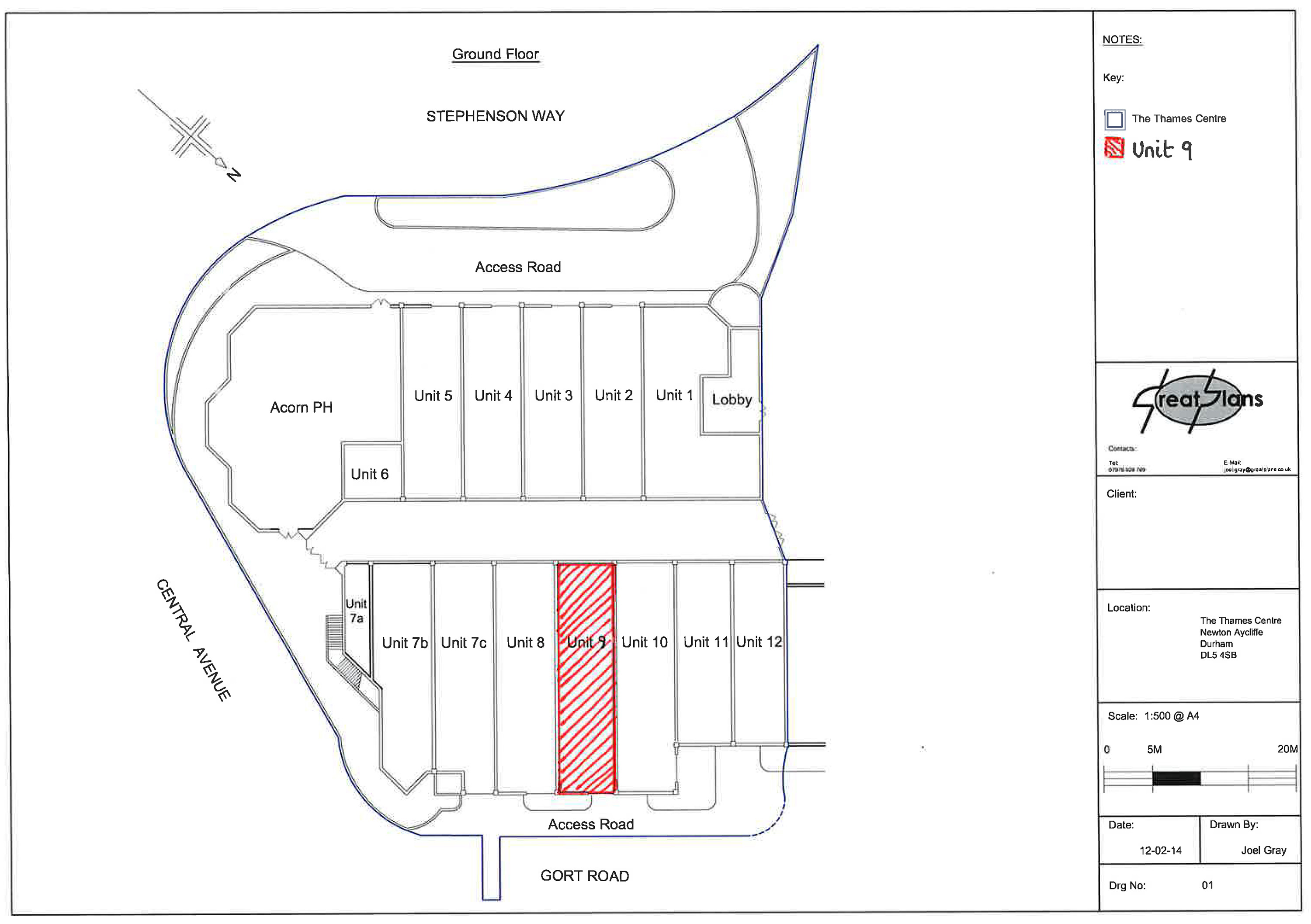
Shop To Let at Unit 9, The Thames Centre, Beveridge Way, Newton Aycliffe, DL5 4SB

  • Type:Shop to Let
  • Size:Approx 2,226 Square Feet
  • Rent:£10,000 Per Annum (Excluding service charge)
  • Rateable Value:£11,500 (Please verify with local authority)
  • Our Reference:9328

Key Details

  • Address: Unit 9, The Thames Centre, Beveridge Way, Newton Aycliffe, County Durham, DL5 4SB
  • Property Type: Retail Unit (Use Class 'E')
  • Rent: £10,000 per annum (exclusive of service charge)
  • Unit Reference: 9328
  • Size: 2,226 sq ft (206.8 sq m)
  • Rateable Value: £11,500
  • EPC Rating: D - 97
  • Availability: Immediately

Information:

Unit 9 at The Thames Centre offers a prominent retail opportunity in the heart of Newton Aycliffe's town centre. This well-presented unit comprises a ground floor retail area of 1,490 sq ft, complemented by a first-floor storage area of 736 sq ft, totalling 2,226 sq ft. The unit features a modern double-fronted aluminium and glass shop front, providing excellent visibility and natural light. Internally, the space includes WC facilities, a preparation area towards the rear, and loading/unloading access via the rear, ensuring operational convenience.

Situated within the covered Thames Shopping Centre, the property benefits from high footfall and is surrounded by established retailers, including William Hill, Bright House, and The British Red Cross. The centre serves as a key retail destination for Newton Aycliffe and the surrounding villages. The town centre is approximately 3 miles west of the A1(M) Trunk Road, providing excellent connectivity to regional transport links.

  • Modern double-fronted aluminium and glass shop fro
  • Ground floor retail area with first-floor storage
  • WC facilities and preparation area
  • Rear loading/unloading access
  • High footfall location within covered shopping cen
  • Surrounded by established retailers
  • Approximately 3 miles from A1(M) Trunk Road
  • Good Passing Trade
  • Kitchenette
  • Use Class 'E'
  • WC's

VIEW ON GOOGLE MAPS

Share this property

Nearby

  • 2 Gyms
  • 11 Restaurants
  • 2 Bars / Pubs
  • 3 ATMs
  • 2 Banks
  • 5 Cafes
  • 2 Meal Deliveries
  • 3 Parking Places
  • 1 Post Office

Ofcom Information
The data displayed on broadband coverage availability uses source data from Ofcom. The predicted speeds provided in the API data are provided by the leading UK ISPs. We understand that Ofcom did not receive data for every premise in the UK, and that Ofcom continue to work with industry to fill in the gaps. If no predictions are shown for your address, this does not necessarily mean broadband is not available and we suggest that you check availability on the ISP websites.

The data displayed on mobile coverage availability uses source data made available by Ofcom which is based on data from the mobile operators about how strong they think signal levels are at every location in the UK. Each mobile operator has a slightly different approach to displaying coverage on its own map, including assumptions on the handsets used, levels of call reliability and the expected signal loss when indoors or in car. Because Ofcom brings all mobile operator data together in a single place and holds it to a single, independent standard, the mobile coverage availability information above may display different levels of coverage than those seen on the operators' websites. We would therefore recommend you also check the mobile provider's coverage checker. Mobile coverage data is created by coverage modelling, and since this is based on computer predictions is not error free.

Ofcom update the source data regularly (every month) and the mobile network operators update theirs, but there may be times when the maps are based on slightly different data and therefore show different coverage.

Please note that we operate a cashless policy. We cannot accept cash as a form of payment for any part of your admin fee, deposit, rent, service charge, insurance or interest. Payments can only be made by Standing Order, Debit/Credit Card, Bank Transfer or Cheque.

Recommended reading from The Insider